マイタウン > (土地(売買))地域から探す > ふじみ野市 > ふじみ野市亀久保3丁目 建築条件無売地 全4区画 (ふじみ野店)
東武東上線「ふじみ野」駅より徒歩17分の利便性の良い立地!
教育施設や商業施設が近く生活便利な住環境です。
■風通し良く開放的な角地
■建築条件なくハウスメーカーを選べる
■小・中学校徒歩10分圏内
■スーパー・コンビニ徒歩6分
■公園が近く緑豊かな住宅地











(※元利均等方式 金利5.00%まで ※返済年数5~50年まで入力できます)
(※ボーナスは年2回で計算しています。1000万円まで入力できます)
(※物件購入時、その他諸費用が発生する場合がございます)
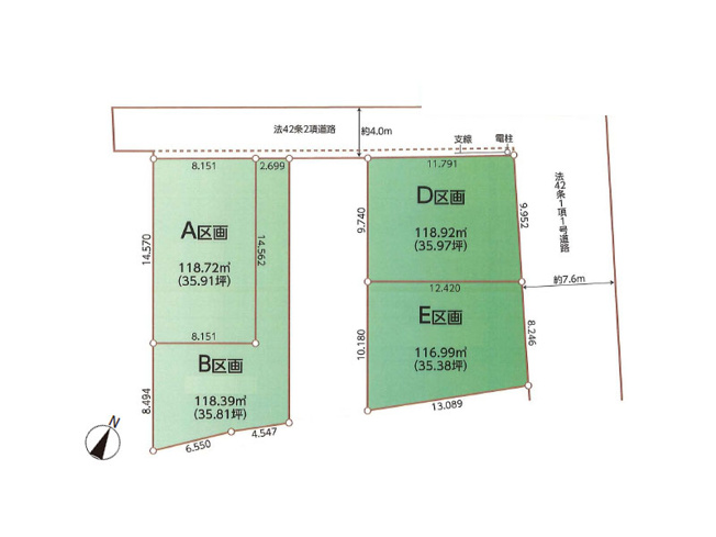
| 所在地 | 埼玉県ふじみ野市亀久保3丁目 | ||
|---|---|---|---|
| 交通 | |||
| 価格 | 3,490万円 | ||
| 土地の敷金/保証金 | -/- | 借地料/借地期間 | -/- |
| 土地面積(坪数) | 118.92㎡(35.97坪) | 坪単価 | 97.03万円 |
| 私道負担面積/セットバック | -/- | 高圧線下面積 | - |
| 傾斜地部分面積 | - | 路地状敷地 | - |
| 土地権利 | 所有権 | 接道状況 | 角地(北 公道 4.0m 間口 11.7m)(東 公道 7.6m 間口 9.9m) |
| 都市計画 | 市街化区域 | 用途地域 | 第一種住居 |
| 建築条件 | 無 | 地目/地勢 | 宅地/平坦 |
| 建ぺい率 | 60% | 容積率 | 200% |
| 総区画数 | 4区画 | 販売区画数 | 1区画 |
| 国土法届出要否 | 不要 | その他の法令上の制限 | 景観法/宅地造成及び特定盛土等規制法/敷地面積最低限度有/日影制限有/都市再生特別措置法、亀久保地区地区計画 |
| 取引態様 | 仲介 | 現況 | 更地 |
| 引渡時期 | 相談 | 引渡条件 | - |
| 最適用途 | - | ||
| 物件番号 | 98764074 | 取引条件の有効期限 | 2025年12月22日 |
| 設備条件 |
|
||
| 備考 |
※電波障害等によるケーブルTV・共聴アンテナ等の引込工事はお客様負担となります。 ※図面と現況が異なる場合は現況優先とさせていただきます。 |
||
| 取扱会社 |
|
||
| QRコード |
このQRコードを読み取ることで、スマホでも物件情報を確認できます。 |
||
※地図上に表示される物件の位置は付近住所に所在することを表すものであり、実際の物件所在地とは異なる場合がございます。
ふじみ野市にある駅から探す