マイタウン > (土地(売買))地域から探す > 川越市 > 川越市久下戸 建築条件無売地 全6区画 (ふじみ野店)
約62坪の広々とした土地に理想の住まいを建築可能!
■南道路に面し陽当たり良好
■建築条件なくハウスメーカーを選べる
■公園が近く緑豊かな住宅地











(※元利均等方式 金利5.00%まで ※返済年数5~50年まで入力できます)
(※ボーナスは年2回で計算しています。1000万円まで入力できます)
(※物件購入時、その他諸費用が発生する場合がございます)
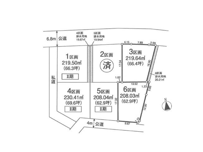
| 所在地 | 埼玉県川越市大字久下戸 | ||
|---|---|---|---|
| 交通 | |||
| 価格 | 1,880万円 | ||
| 土地の敷金/保証金 | -/- | 借地料/借地期間 | -/- |
| 土地面積(坪数) | 208.03㎡(62.92坪) | 坪単価 | 29.88万円 |
| 私道負担面積/セットバック | -/- | 高圧線下面積 | - |
| 傾斜地部分面積 | - | 路地状敷地 | - |
| 土地権利 | 所有権 | 接道状況 | 一方(南 公道 4.0m) |
| 都市計画 | 市街化調整区域 | 用途地域 | 無指定 |
| 建築条件 | 無 | 地目/地勢 | 宅地/平坦 |
| 建ぺい率 | 60% | 容積率 | 200% |
| 総区画数 | 6区画 | 販売区画数 | 1区画 |
| 国土法届出要否 | 不要 | その他の法令上の制限 | 線引き前宅地(川越市条例第4条第8号) |
| 取引態様 | 仲介 | 現況 | 更地 |
| 引渡時期 | 相談 | 引渡条件 | - |
| 最適用途 | - | ||
| 物件番号 | 98764029 | 取引条件の有効期限 | 2026年03月23日 |
| 設備条件 |
|
||
| 備考 |
※開発許可申請費用・上水道引込・排水引込は売主負担です。 ※西側私道からの出入りはできません。 ※図面と現況が異なる場合は現況優先とさせていただきます。 |
||
| 取扱会社 |
|
||
| QRコード |
このQRコードを読み取ることで、スマホでも物件情報を確認できます。 |
||
※地図上に表示される物件の位置は付近住所に所在することを表すものであり、実際の物件所在地とは異なる場合がございます。
川越市久下戸 建築条件無売地 全6区画 (ふじみ野店)周辺の駅から探す